

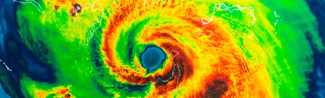
Time to get hurricane-ready
The 2021 Atlantic hurricane season predicted to be more active than usual

May 13, 2021
By Scott Ewing
North America Engineering Leader, AXA XL Risk Consulting
Before we hear about the likes of Ana, Bill, or Claudette, it is time to get ready for them.
Ana, Bill, and Claudette will be the monikers of the first named storms of the 2021 Atlantic hurricane season, which officially starts June 1 and runs until November 30.
While June 1 is the historical start of the season, tropical storms don’t always stick to traditional timeframes. A tropical system or two have been known to develop during May. In fact, last year, two preseason storms developed ahead of the official June 1 start date. Tropical storms Arthur and Bertha made their appearance in mid and late May.
That’s why there is no time like the present to prepare and be hurricane-ready for whatever lies ahead in this year. (To help, download a copy of AXA XL’s Severe weather planning guide and Severe weather planning checklists.)
The 2021 outlook
According to the Colorado State University Tropical Meteorology Project, the 2021 Atlantic hurricane season is predicted to be more active than usual, calling for 17 named storms, eight hurricanes, and four major hurricanes. A major hurricane is considered a storm that is Category 3 or higher (115-plus-mph winds) on the Saffir-Simpson Hurricane Wind Scale.
The Project’s forecast is above the 30-year average (1991 to 2020) of 14 named storms, seven hurricanes, and three major hurricanes. It is based on some 40 years of statistical factors combined with data from seasons exhibiting similar features of sea-level pressure and sea-surface temperatures in the Atlantic and Eastern Pacific oceans.
The 2020 Atlantic hurricane season was the most active and the fifth-costliest Atlantic hurricane season on record. Of the 30 named storms, 14 developed into hurricanes, and six further intensified into major hurricanes, with one, Hurricane Iota, attaining Category 5 on the Saffir–Simpson scale.
What’s in a name?
As 2020 required 30 names for storms, last year’s season extended into the first nine letters of the Greek alphabet, ending with Iota. Having to enlist the Greek alphabet only happened one other year, in 2005, the year of Katrina, Wilma, and Rita, and will not happen again.
At their annual meeting, the World Meteorological Organization's (WMO) hurricane committee decided to retire the Greek alphabet for naming storms, citing potential confusion with similar-sounding Greek alphabet letters and challenges with translation into other languages.
There are actually six lists of names for the Atlantic hurricane season that rotate out every six years. The 2021 list of names was last used in 2015 and will be used again in 2027.
While there are 26 letters in the alphabet, there are only 21 names on each of these lists. No storms are given names beginning with Q, U, X, Y, and Z because there are not enough common names starting with those letters, and these letters are often hard to understand across various languages.
In the future, if the season surpasses 21 named storms, the World Meteorological Organization's hurricane committee developed lists of supplemental names – one for the Atlantic Basin and another for the eastern Pacific Basin.
New names are added to each list as other names are retired. This avoids the use of past strong hurricane names like Harvey, Maria, and Katrina, for instance, to be used to describe a weak, open-ocean tropical storm in the future. It also avoids any confusion that might occur if a more severe, notorious storm name is used again.
This year, Elsa and Julian are new to the list because Erika and Joaquin were retired. Tropical Storm Erika was a 50-mph tropical storm affecting the Antilles, especially Dominica. Hurricane Joaquin led to 34 deaths in 2015 after slamming into the Bahamas as a Category 4 hurricane. Laura will also be retired from the list used last year after Hurricane Laura became one of the strongest recorded storms to hit Louisiana.
Given last year’s record and this year’s anticipated activity, advance preparation to protect property is more important than ever.
High tech hurricane preparedness
Given last year’s record and this year’s anticipated activity, advance preparation to protect property is more important than ever. As hurricane season approaches, there are essential preventative actions businesses can take to reduce the risk of costly damage.
Fortunately, businesses can enlist some very innovative solutions and technologies to help in their property loss prevention efforts.
AXA XL Risk Consulting also introduced a new risk assessment service called Risk Scanning, which combines the industrial expertise of our risk engineers with our data modeling capacity and claims experience. Based on closed questions asked to risk managers through a digital application and external data, AXA XL’s risk engineers will analyze the probability of risk incidence and then propose actions and protection recommendations to mitigate the risks. The service also provides an estimate of the financial impact of various possible loss scenarios on a site before and after implementing recommendations. The process helps businesses make better decisions and set priorities for their risk management investments.
New monitoring technologies are helping monitor properties, providing facility managers and others with real-time data on that state of their facilities. Monitors can detect smoke, heat, or water early so that facility managers can act quickly to help minimize damage. To help, AXA XL launched Digital Risk Engineer, which uses Internet of Things (IoT) devices installed in the clients' buildings to capture information from connected systems such as energy, water (including sprinklers), heating, ventilation, and air conditioning (HVAC).
Tried and true precautions
Boarding up windows and doors is still a recommended measure for preparing for an impending hurricane. This year, given continued disruptions in supply chains, some hurricane-preparedness supplies, such as plywood, might be more costly or harder to get, making preparation even more imperative.
To help, AXA XL Risk Consulting’s property risk engineers prepared some helpful checklists for severe weather planning. Download copies of AXA XL’s Severe weather planning guide and the Severe weather planning checklists.
To contact the author of this story, please complete the below form
More Articles
Related Resources


Weather the unexpected: Preparing construction sites for storms and natural catastrophes

2020 is an already eventful year. Now, here comes hurricane season.
Global Asset Protection Services, LLC, and its affiliates (“AXA XL Risk Consulting”) provides risk assessment reports and other loss prevention services, as requested. In this respect, our property loss prevention publications, services, and surveys do not address life safety or third party liability issues. This document shall not be construed as indicating the existence or availability under any policy of coverage for any particular type of loss or damage. The provision of any service does not imply that every possible hazard has been identified at a facility or that no other hazards exist. AXA XL Risk Consulting does not assume, and shall have no liability for the control, correction, continuation or modification of any existing conditions or operations. We specifically disclaim any warranty or representation that compliance with any advice or recommendation in any document or other communication will make a facility or operation safe or healthful, or put it in compliance with any standard, code, law, rule or regulation. Save where expressly agreed in writing, AXA XL Risk Consulting and its related and affiliated companies disclaim all liability for loss or damage suffered by any party arising out of or in connection with our services, including indirect or consequential loss or damage, howsoever arising. Any party who chooses to rely in any way on the contents of this document does so at their own risk.
US- and Canada-Issued Insurance Policies
In the US, the AXA XL insurance companies are: Catlin Insurance Company, Inc., Greenwich Insurance Company, Indian Harbor Insurance Company, XL Insurance America, Inc., XL Specialty Insurance Company and T.H.E. Insurance Company. In Canada, coverages are underwritten by XL Specialty Insurance Company - Canadian Branch and AXA Insurance Company - Canadian branch. Coverages may also be underwritten by Lloyd’s Syndicate #2003. Coverages underwritten by Lloyd’s Syndicate #2003 are placed on behalf of the member of Syndicate #2003 by Catlin Canada Inc. Lloyd’s ratings are independent of AXA XL.
US domiciled insurance policies can be written by the following AXA XL surplus lines insurers: XL Catlin Insurance Company UK Limited, Syndicates managed by Catlin Underwriting Agencies Limited and Indian Harbor Insurance Company. Enquires from US residents should be directed to a local insurance agent or broker permitted to write business in the relevant state.
AXA XL, as a controller, uses cookies to provide its services, improve user experience, measure audience engagement, and interact with users’ social network accounts among others. Some of these cookies are optional and we won't set optional cookies unless you enable them by clicking the "ACCEPT ALL" button. You can disable these cookies at any time via the "How to manage your cookie settings" section in our cookie policy.